GreenPolicy360 Archive Highlights 2024
Story Archives at GreenPolicy360
- Popular pages/stories
New Record for Annual Increase in Global Warming Gases
In 2024 the Mauna Loa climate-impacting gasses observatory recorded the biggest single-year growth in CO2 in its 66-year-history, rising 3.58 parts per million.
The figure exceeds the most pessimistic predictions of the U.K. Met Office, which says that even record-high emissions from fossil fuels cannot fully explain the surge in carbon dioxide.
U.K. scientists note that increasingly severe heat and drought mean that trees and grasses are drawing down less carbon dioxide than in the past, while desiccated soils are also releasing more carbon back into the atmosphere.
🌎
- Building high-rise towers on Miami beaches -- as climate change pushes rising sea-levels
- Via Miami Herald
Miami luxury condos, hotels are sinking
- https://www.miamiherald.com/news/local/environment/climate-change/article296831519.html
- https://agupubs.onlinelibrary.wiley.com/doi/10.1029/2024EA003852
GreenPolicy360 has been focusing for years on the risks of Florida at the 'frontlines of climate change'.
One issue we have repeatedly pointed to as we continually provided background, context, science and predictions of what happens next is grounded (literally) in the fact that much of Florida's geology is called 'karst', comprised of a limestone composition that goes back to ancient eras when what is now called Florida, the Sunshine State was underwater. Florida rose from the seas over millenia and Florida's sandy soil is 'shell filled' and porous as a result. Florida's underground springs, caves, caverns, percolating waterways are extremely susceptible to water movement, to dynamic flow, and to underground intrusion of salt water.
The land of Florida is unlike most all land in the United States as a result, yet few have pointed out these baseline facts.
GreenPolicy360 has done so, and now comes a 'watershed' science study that is being called 'game changing'.
So here we are, not dwelling on "we told you so", but we did.
In GreenPolicy360 case, we can point to the beginnings of U.S. Earth Science initiatives measuring and monitoring from low-earth orbit, missions that our compatriot, Representative George E. Brown, was pushing and providing oversight of for some thirty years in Congress during the first generation of U.S. space, science and technology.
Now 'eyes in the sky' science are measuring and monitoring Florida, especially its coastlines, and the data is coming into the light.
Let's look -- this study can be seen as the first of many that will now be added to a database of Florida Earth Science facts. The consequences of the facts on the ground, and under the ground, are going to be seen and felt over years to come.
Sunny Isles, Florida
Read more at Sea-Level Rise and Climate News
🌎
- SCOTUS Paves the Way
- PoliticoPay, Money in Politics, Decision by Decision
- Buckley v. Valeo (1976)
- First National Bank of Boston v. Bellotti (1978)
- Citizens United v. FEC (2010)
- McCutcheon v. FEC (2014)
U.S. Presidential Campaign, 2024
Money in Politics
Flashback from GreenPolicy's Steve Schmidt: In 1990 GreenPolicy360 siterunner traveled to Washington DC at the invitation of a newly elected US Senator Paul Wellstone. I helped Paul move into his first apartment in DC, carrying appliances up into his place and talking about what clothes he would need as a Senator (he had no suits, he was a professor from Minnesota's Carleton College and was casual in his style. Yet, he was to become a leader of the progressive and populist wing of the Democratic Party and the two of us became especially close on the subject of 'Money in Politics', on his desultory impact on democratic discussion, debate, and citizen involvement. We agreed to pursue legislation and we did over the years and we did until his tragic death in a plane crash as he flew through winter weather on a mission for a constituent.
Paul is known for his green bus, but I knew him for his attempts to 'clean up politics'. He led efforts to fix the 'money in politics' problem and he would tell me when I pressed the issue over the years that "Schmidt, my office phones never light up calling me to push back the big money. You and I and some folks know how big a probleme it is, but it's off radar when it comes to what makes Congress move."
And so let me recall Paul, and Jerry in '92 with whom I worked on a presidential platform with 'money in politics' at the center, for trying to make a difference that is still needed to be made if a real difference in how Washington DC runs for better - or remains operating for the worse with push and pull, dollars and barters.
Here's Paul's green bus, a simple, real campaign emblem of who he was, for people, over the years, and the campaign continues.
Here is PoliticoPay.com, highlighted in 2016 as a Green Policy project...
We addressed how US Supreme Court decisions brought on the current deluge of big money and influence in politics.
- ············································································
Oil ➡️ Plastic ➡️ Pollution... Costs Keep Adding up
November 2024
Thankful Thanksgiving Thoughts
·······································
What Happens Next?
November 20, 2024
Two weeks ago the former US president was learning he would become the next US president.
Now, after a first slate of nominees for top positions are announced, many are asking -- 'What Happens Next?'
The drama reminds GreenPolicy360's editor of a book by the same name written by Marc Norman, a great writer and a former client from back in the old days.
Marc Norman wrote a screenplay for 'Shakespeare in Love' (among many stories) and he knows how it goes in 'the biz', whether tragedy or comedy or in between.
As the writer tells the tale and the characters emerge and do what they do as their nature pushes them to do, the audience is always asking, 'What's Next'?
Here a former president, who didn't expect to win the first time he ran and who denied he lost when he ran for reelection, now is teeing it up for another round as president.
We'll see what happens next... and the US and world will face the consequences. With so much at stake, starting with national and global security, the next four years of 'what's next' are going to be a wild ride.
🌎
Trump Picks Oil-Gas Man to Head Energy Department
Via the Associated Press / November 17, 2024
PALM BEACH, Fla. (AP) — President-elect Donald Trump has selected Chris Wright, a campaign donor and fossil fuel executive, to serve as energy secretary in his upcoming, second administration.
The CEO of Denver-based Liberty Energy, Wright is a vocal advocate of oil and gas development, including fracking, a key pillar of Trump’s quest to achieve U.S. “energy dominance” in the global market.
Wright has been one of the industry’s loudest voices against efforts to fight climate change, and could give fossil fuels a boost, including quick action to end a year-long pause on natural gas export approvals by the Biden administration.
··························································································································
Nominee Chosen to Direct the Environmental Protection Agency
WASHINGTON / The Post —
President-elect Donald Trump has selected former New York GOP Rep. Lee Zeldin to serve as administrator of the Environmental Protection Agency.
Zeldin, 44, served four terms as a Republican congressman repping eastern Long Island before losing the 2022 New York governor’s race to Democrat Kathy Hochul by a surprisingly close margin — and will become a key figure in adopting Trump’s deregulatory and pro-energy production.
“I am deeply honored to have been asked by President Trump to serve in his Cabinet. As EPA Administrator, we will restore American energy dominance, revitalize our auto industry to bring back American jobs, make the United States the global leader of Artificial Intelligence advancement, and slash the red tape holding back American workers from upward economic mobility,” Zeldin said.
GreenPolicy360: Mr. Zeldin seems unaware of the legislatively approved mission of the Environmental Protection Agency.
Perhaps a briefing on the EPA's scope, goals and authority would help the new appointee as he meets the US Congress ...
Here, a primer, due diligence backgrounder from GreenPolicy360:
Origins of the EPA
Environmental movement / Environmental protection
With a tip of our GreenPolicy360 hat to Representative George E. Brown-S from East Los Angeles, a prime mover of legislation to create the EPA and for many years a friend and mentor to our GreenPolicy360 founder, Steve Schmidt.
As the LA Times noted in George's obituary in 1999: "He championed the creation of the federal Environmental Protection Agency". The creation of the EPA was in many ways Congressman George Brown's vision achieved..."
The founding of the EPA was based on new realizations of science and the environment. The vision of the "Whole Earth" that began with unprecedented Apollo photos on the cover of Life magazine in January 1969 led to a coming together of education, students 'teach-ins', scientific space missions studying earth systems for the first time, and popular demands for environmental protections.
A leader and a chairperson on the House science committee for over 30 years, George legislatively helped to engineer a broad agenda of environmental legislation and first generation federally proposed and supported science efforts, including a science mission that greens look to as prescient -- climate science.
George believed, strongly believed and advocated that science, 'big science', was necessary to understand 'Earth System Science' . George Brown was instrumental in writing the first National Climate Act and over decades, he shepherded the start up of the Atmospheric and Earth science programs and ongoing missions that continue to this day, acquiring Earth observations and providing profoundly valuable data and baselines for policy decisions as 'Strategic Demands.'
○ ○ ○ ○ ○ ○ ○ ○ ○ ○ ○ ○ ○ ○ ○ ○ ○ ○ ○ ○ ○ ○ ○ ○ ○ ○ ○ ○ ○ ○
Mr. Zeldin should do a deep dive into the background and current environmental challenges the US faces
Planet Citizens, Planet Scientists
······························································
November 6, First News
······························································
The Day Before the Election
- Tomorrow, November 5th, the US Votes
“We are on the brink of an irreversible climate disaster,” begins a report published last month in the journal BioScience. “Much of the very fabric of life on Earth is imperiled... We are stepping into a critical and unpredictable new phase of the climate crisis.”
-- Oxford Academic BioScience / Special 2024 Report
This is a global emergency beyond any doubt. Much of the very fabric of life on Earth is imperiled. We are stepping into a critical and unpredictable new phase of the climate crisis. For many years, scientists, including a group of more than 15,000, have sounded the alarm about the impending dangers of climate change driven by increasing greenhouse gas emissions and ecosystem change (Ripple et al. 2020). For half a century, global warming has been correctly predicted even before it was observed—and not only by independent academic scientists but also by fossil fuel companies (Supran et al. 2023). Despite these warnings, we are still moving in the wrong direction; fossil fuel emissions have increased to an all-time high, the 3 hottest days ever occurred in July of 2024 (Guterres 2024), and current policies have us on track for approximately 2.7 degrees Celsius (°C) peak warming by 2100 (UNEP 2023). Tragically, we are failing to avoid serious impacts, and we can now only hope to limit the extent of the damage. We are witnessing the grim reality of the forecasts as climate impacts escalate, bringing forth scenes of unprecedented disasters around the world and human and nonhuman suffering. We find ourselves amid an abrupt climate upheaval, a dire situation never before encountered in the annals of human existence. We have now brought the planet into climatic conditions never witnessed by us or our prehistoric relatives...
GreenPolicy360: Election Day in the United States, November 5th, the gathering winds of the future whistle ever closer...
The decision made will have far reaching and long lasting consequences.
Since the 1970s and first 'Earth Day' and first 'National Climate Program Act', Green Policy's founder-siterunner has spoken of the critical importance of protecting our 'living blue-green Earth'. Now, let us be clear-eyed about what we have to face in front of us. Tomorrow is a historic turning point, a day of reckoning.
Here, let us consider a voice from America's southern states with words that need to resonate:
"Every existing global conflict, every human vulnerability and every form of social instability is already being exacerbated by climate calamities. There is no issue on the political table that will not be made exponentially worse if we allow the living earth to enter its death throes, and yet climate has rarely been part of the political discourse during this election year... Where planetary survival is concerned, it is too late to sit out an election on principle, or to cast a vote for a third-party candidate... This is the time to go to the polls and vote.
"The Democrats’ policies aren’t unassailable, but they are at least capable of keeping this planet alive long enough for the rest of the human race to come around to understanding how urgent is the danger we already face, how much worse it is going to get and how little time we have to hold off the unthinkable." -- Margaret Renki
Let Margaret's words on protecting our 'Living Earth' be a guide for decisions - and votes - in tomorrow's US election. Our generation's legacy, it must be said, is on the line.
October
October 30
Clean Energy Is Booming in the U.S. The Election Could Change That
Over the last two years, a surge in clean energy manufacturing has helped push U.S. factory construction to the highest level in half a century. Solar power installations and electric car sales are breaking records. Even Republican-led states like Montana and Utah are writing climate plans to secure federal cash.
Yet the law driving this dizzying transformation of America’s energy landscape, the 2022 Inflation Reduction Act, is facing a highly uncertain future as next week’s election looms.
If he returns to the White House, former President Donald J. Trump has suggested he would gut the law, which is expected to pour as much as $1.2 trillion over the next decade into technologies to fight climate change such as wind turbines, solar panels, nuclear reactors, carbon capture and E.V.s, as well as the factories to supply them.
“My plan will terminate the Green New Deal, which I call the Green New Scam,” Mr. Trump said in September, using his catchall phrase for climate policies. “We will rescind all unspent funds under the misnamed Inflation Reduction Act.”
Read the Election 2024 article
More GreenPolicy360 Climate News
Climate Action Plans 360
- Environmental Laws & Environmental Movement
- Climate Change
- Climate Policy
- Climate Change Terms
- Too Hot
- Hotter 'n Hotter
- Climate Problems, Climate Solutions
- Measure to Manage
- INDC Pledges & Promises
- National Climate Plans
🌎
Nearly half of all voters are skeptical that the American experiment in self-governance is working, with 45 percent believing that the nation’s democracy does not do a good job representing ordinary people, according to a new New York Times/Siena College poll.
Three-quarters of voters in the United States say democracy is under threat, though their perception of the forces imperiling it vary widely based on partisan leanings. And a majority of voters believe that the country is plagued by corruption, with 62 percent saying that the government is mostly working to benefit itself and elites rather than the common good.
The eroding faith in the nearly 250-year-old American system of government follows four years of unparalleled challenges: a violent riot in an attempt to overturn the 2020 presidential election, the criminal conviction of former President Donald J. Trump and Mr. Trump’s continued insistence that the democratic process is rigged...
As the US Presidential Election Approaches, Debate Over Democracy and Its Challenges Heats Up
John Kelly, Trump's ex-chief of staff labels Trump 'authoritarian' and the 'general definition of fascist'....
- https://www.pbs.org/newshour/show/what-john-kelly-said-about-trumps-praise-of-hitler-and-fascist-tendencies
- https://thehill.com/homenews/campaign/4953059-trump-john-kelly-fascist/
- https://www.foxnews.com/media/trump-responds-ex-chief-staff-after-hes-labeled-authoritarian-general-definition-fascist
John Francis Kelly is a retired U.S. Marine Corps general who was White House chief of staff for President Donald Trump from 2017 to 2019.
Scan more headline news on John Kelly's charges against former president Donald Trump
🌎
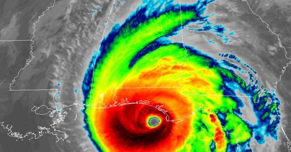
Hurricane Helene and Milton Grew Intense Rapidly and Delivered Lasting Damage Across Florida, North Carolina
- Now Politics in Its Aftermath Kick In
In storm-ravaged North Carolina, people see that Trump is not describing reality. What about the rest of the nation?
Via the Washington Post
October 25, 2024
Here in storm-ravaged North Carolina, people can separate reality from the things Trump is saying.
Can the rest of the nation? We’ll find out in 11 days. On Election Day, we’ll see whether, after nine years of Trump’s daily assaults on reality, the truth still has any relevance.
Americans can see in their own lives that the economy hasn’t collapsed; the price of bacon hasn’t quintupled; that all of the 15 million jobs created during the Biden administration didn’t go to undocumented immigrants; that violent migrants aren’t taking over the country; that crime isn’t rising; that the military hasn’t become a soft, “woke” assemblage of drag queens; that those who sacked the Capitol in 2021 weren’t peaceful; and that the government hasn’t cruelly abandoned those whose lives were upended by natural disasters. Americans can hear the urgent warning from retired Marine Gen. John Kelly and other former Trump administration officials that their old boss threatens our democratic way of life. But will any of it matter?
Update from GreenPolicy360: The past two weeks here in Florida have seen us scramble to prepare defenses against hurricanes here at "The Frontlines of Climate Change". Two hurricanes targeted our home state, and both delivered devastation. GreenPolicy360's home base on Tampa Bay was fortunate to escape the worst, as many experienced personal disasters, homes flooded, mementoes destroyed, lives sifted and impacted now and for years.
Any accounting of losses that points at billions of dollars in expenses but misses the costs that go far beyond dollars is no 'full-cost accounting' and we have entered an era that demands clear-eyed acknowledgement of security threats and a threat-multiplier horizon. Unfortunately, even as science provides facts and data, the political voices currently holding sway in Florida are in deep denial of 'extreme weather events' and the forces driving these events.
The Governor of Florida, Ron deSantis, is on record pushing against the science of climate change and the state's government has acted to remove the use of the term. It's time for a deep rethink by the Governor, and it is overdue for the state legislature to rise in coming legislative sessions to the task at hand.
Now it is urgent to point to the near future of risks of climate-related impacts on Florida, with a multi-dimensioned approach beginning with science as a guide to smart policy. Whether related to Florida's insurance rates, or coastal development, its vulnerabilities and its blocking of effective planning and responses to climate change, a green policy approach is our common challenge. Across the political spectrum, for young and old, community by community, a turn to citizen action is a highest strategic demand *if* we are going to, in Florida and every threatened community, make a positive difference in our future.
"Earth in human hands"
- Earth is in *your* hands
🌎
October 9
The temperatures of Gulf of Mexico ocean water is trending warmer. High 80s and higher out there off the West Coast of Florida. Visitors to the coastline and barrier islands enjoy dipping into the warmness -- and so do tropical storms, cyclones, hurricanes...
GreenPolicy360: Historic Hurricanes, Weather 'Disturbances' that within Hours Intensify to Highest Categories of Destructive Storm Power
Here's a bit of Earth Science. A top of the news article via the Washington Post that puts Hurricane Milton in perspective...
...scientists say, ocean heat has increased to record levels in recent decades due to human-caused climate change. The reason is simple: The oceans, which cover more than 70 percent of Earth’s surface, absorb most of the excess heat created by burning fossil fuels. Water also can absorb large amounts of heat with relatively little temperature change, making it a very efficient place to store all the trapped heat in the atmosphere.
Using computer models, an analysis from Climate Central said the record sea surface temperatures over the past two weeks were 400 to 800 times more likely as a result of climate change.
After Hurricane Helene Comes Hurricane Milton
October 7
175-MPH WINDS
National Hurricane Center Advisory
BULLETIN
Hurricane Milton Intermediate Advisory Number 10A
NWS National Hurricane Center Miami FL
AL142024 1:00PM CDT Mon Oct 07 2024
...MILTON EXPLOSIVELY INTENSIFIES WITH 175-MPH WINDS...
...RESIDENTS IN FLORIDA ARE URGED TO FOLLOW THE ADVICE OF LOCAL OFFICIALS...
SUMMARY OF 100 PM CDT...1800 UTC...INFORMATION
LOCATION...21.7N 91.3W
ABOUT 105 MI...170 KM WNW OF PROGRESO MEXICO
ABOUT 700 MI...1130 KM SW OF TAMPA FLORIDA
MAXIMUM SUSTAINED WINDS...175 MPH...280 KM/H
PRESENT MOVEMENT...E OR 100 DEGREES AT 9 MPH...15 KM/H
MINIMUM CENTRAL PRESSURE...911 MB...26.90 INCHES
October 6
- ~ ~ ~ ~ ~ ~ ~ ~ ~ ~ ~ ~ ~ ~ ~ ~ ~ ~ ~ ~ ~ ~ ~ ~ ~ ~ ~
The most vulnerable metropolitan area in the U.S. to storm surge damage is Tampa/St. Petersburg...
A major hurricane) striking just north of Tampa Bay could be expected to cause $230 billion in damage – just from the storm surge. (Yale Climate Connections Study, 2015)'
”Evidence that hurricanes are getting stronger”
"Increasing destructiveness of tropical cyclones over the past 30 years"
🌎
End of an Era
- Historic day in the UK where the industrial revolution fired up. The end of coal generated power...
- GTN #climatechange #GreenPolicy360
🌎
September 2024
Hurricane (Tropical Cyclone) Helene Leaves a Multi-State Path of Destruction
Communities in the US Southeast are grappling with widespread devastation after Helene made landfall as the strongest hurricane on record to slam into Florida’s Big Bend region Thursday and tore through multiple states, killing at least 62 people, knocking out power to millions and trapping families in floodwaters.
February 27
One of Florida's Wealthiest Regions Has a News Message about Climate Change and Risks to Life and Property
- From the State's East Coast, North of Miami, a Location Known for an ex-President's Beach Club Mar-a-Lago Residence
GreenPolicy360 Editor Note: We disagree with the following Editorial statement of the Palm Beach Post that "Florida can handle storms". In fact, the costs/losses/damages of 'storms', actuarially and with 'full-cost accounting' , are magnitudes greater than what is being considered by the Post. The Post does recognize however what the Governor of Florida refuses to recognize and acknowledge -- that "climate change" effects are real and are gathering impacts that place Florida at the *Frontlines of Climate Change* with a coming deluge of climate-related news. Get ready Florida, act now to make a positive difference in the future that looms on 'the Peninsula'. Florida's geography, its 'target rich' (per Andrew Revkin) coastline development/new populations and infrastructure confront rising sea-levels and warming Gulf and Atlantic waters that are 'feeding' hurricane development. The physics of climate change have momentum, have trendlines, and are a threat horizon in security terms that should not be ignored. Our message, decades long now, is "Listen to the Science".
Editorial: Florida can handle storms. It's climate change that's the problem.
Palm Beach Post
The politics driving state policies that could help Floridians better cope with the effects of a warming planet need to change.
Hurricane Helene barreled through Florida's Big Bend area, leaving a trail of devastation from storm surge, flooding and wind in its wake. This is nothing new for Florida. Our state knows how to respond to storms, even one as threatening as this one.
Right now, the priority should be on search and rescue, cleanup and rebuilding. As of Friday afternoon, Helene left six dead and more than 1.2 million Florida home and property owners without power. Work crews have begun inspecting bridges and clearing roads of debris, and utility companies are working hard to restore power to stricken areas. Patience is always required as the true extent of the storm's damage is still being determined, and recovery will take time.
Florida knows how to deal with fallen trees and other damages after a hurricane. It's the pre-storm state policies that determine how Florida addresses climate change and global warming that need work.
But, for state leaders who make Tallahassee their home, what comes next should be obvious: More needs to be done to appreciate and address the effects of climate change so that the state can better direct its resources to buttress and protect communities before hurricanes hit. Florida has shown that it can appropriately react to a storm, but let's be clear-eyed about this: Michael, Ida, Idalia, Debby and Helene didn't hit a major population center. They all missed Tampa and St. Petersburg. And could you imagine the damage — both physically and financially — if a Category 4 storm hit Palm Beach County? Frightening.
The politics driving state policies that could help Floridians better cope with the effects of a warming planet need to change.
How can Gov. Ron DeSantis and the Florida Legislature in good conscience approve a law that erases the term "climate change" from state statutes, while boosting natural gas production and reducing state regulations on gas pipelines?
And how can state leaders rest on their laurels as Florida's property insurance crisis continues without a more comprehensive approach that addresses consumer needs and industry concerns? Hurricane Helene is just the latest storm to impact both, and given the obvious trends of warming seas and stronger storms, it won't be the last one.
Helene is the fifth storm in the past six years to make landfall somewhere in Florida, and once again the state's first responders, utility linemen and volunteers will do all they can to restore those communities stricken by the storm. Florida knows how to handle a hurricane after the fact. State leaders though must do better on the front end before an urban center like Palm Beach County finds itself in the center of the cone.
More re: Climate Change @GreenPolicy360
- https://www.greenpolicy360.net/w/Climate_Problems,_Climate_Solutions
- https://greenpolicy360.net/w/National_Climate_Plans
- https://www.greenpolicy360.net/w/Category:Climate_Change
- https://www.greenpolicy360.net/w/Category:Climate_Policy
- https://www.greenpolicy360.net/w/Sea-Level_Rise
- https://www.greenpolicy360.net/w/Ethics_and_Climate_Change
Tropical Cyclones - Hurricane Science (Atlantic Ocean/Gulf of Mexico)
References from Climate.gov, NOAA, NCEI, NHC, NWS, GFDL
"Can we expect Atlantic hurricanes to change over the coming century due to global warming?"
By Chris Landsea and Tom Knutson
Christopher W. Landsea is the Chief of the Tropical Analysis and Forecast Branch at the National Weather Service's National Hurricane Center in Miami. Tom Knutson is a Senior Scientist at NOAA’s Geophysical Fluid Dynamics Laboratory in Princeton.
A NOAA State of the Science Fact Sheet on “Atlantic Hurricanes and Climate" is also available.
🌎
Hurricane Helene, Screen Grab, Over the Gulf of Mexico
Earth Dynamics, Morning of September 26, 2024 - Date/Time Captured
(Click image for *current wind/surface/orthographic conditions*)
🌎
A New Word Enters the News Lexicon -- "Sanewashing"
- In US Politics a Flurry of Political Lies Has (Many Professionals in) the News Media Questioning Reporting-as-Usual
🌎
Fact Checking, Facts Count
September 11, 2024
The US Presidential Debate Is One for the History Books
Question: Did the ABC Moderators Intrude?
GreenPolicy360: Facts count, repeat, "facts count"
Disinformation - Online - Dangerous
○
Political Propaganda and Disinformation as Geopolitical Weapons
Google News - US accuses Russia of using state media to influence election
September 6, 2024
○
YouTube takes down right-wing channels linked to DOJ Russia indictments
YouTube “terminates” Tenet Media and other channels
Russian trolling 2.0: How the Kremlin shifted tactics from its 2016 election strategy
Rather than relying on fake accounts and bogus online personas, the current effort alleged in this week’s indictment involves coopting real American influencers to try to push Russian narratives to US audiences, particularly aimed at undermining support for Ukraine.
“Buying authentic influencers is a far better use of funds than creating fake personas, because they bring their own trusting audiences and are actually, you know, real,” Renee DiResta, an expert on online influence operations, said in a social media post.
The (US DOJ) indictment alleges that the RT employees secretly poured nearly $10 million into a Tennessee company that hired prominent right-wing commentators who produced content on hot-button political issues, including Russia’s war on Ukraine...
The Russian Propaganda Attack on America
Sometimes money is more effective than weapons
By Tom Nichols
September 5, 2024
What’s really going on here is that the Russians have identified two major weaknesses in their American adversaries. The first is that a big slice of the American public, especially since the ascent of Donald Trump and the MAGA movement, has an almost limitless appetite for stories that jack up their adrenaline: They will embrace wild conspiracies and “news” meant to generate social conflict so long as the stories are exciting, validate their preexisting worldviews, and give them some escape from life’s daily doldrums.
The other is that more than a few Americans have the combination of immense greed and ego-driven grievances that make them easy targets either for recruitment or to be used as clueless dupes. The Russians, along with every other intelligence service in the world, count on finding such people and exploiting their avarice and insecurity. This is not new. (The United States does it too. Money is almost always the easiest inducement to treason.) But the widespread influence of social media has opened a new front in the intelligence battle. Professional secret agents no longer need to find highly placed Americans who have access to secrets or who might influence policy discussions. Instead of the painstaking work that usually takes months or even years to suborn foreign citizens, the Kremlin can just dragoon a couple of its own people to pose as business sharps with money to burn, spread cash around like manure in a field full of half-wits, and see what blossoms.
○
"The Russian disinformation operations that affected the 2016 United States presidential election are by no means over." (2018)
-- Renée DiResta, Author, "Invisible Rulers: The People Who Turn Lies into Reality"
○
Wednesday, September 4, 2024
Office of Public Affairs
U.S. Department ofJustice
Two RT Employees Indicted for Covertly Funding and Directing U.S. Company that Published Thousands of Videos in Furtherance of Russian Interests
“The Justice Department has charged two employees of RT, a Russian state-controlled media outlet, in a $10 million scheme to create and distribute content to U.S. audiences with hidden Russian government messaging,” said Attorney General Merrick B. Garland. “The Justice Department will not tolerate attempts by an authoritarian regime to exploit our country’s free exchange of ideas in order to covertly further its own propaganda efforts, and our investigation into this matter remains ongoing.”
“Our approach to combating foreign malign influence is actor-driven, exposing the hidden hand of adversaries pulling strings of influence from behind the curtain," said Deputy Attorney General Lisa Monaco. “As alleged in today’s indictment, Russian state broadcaster RT and its employees, including the charged defendants, co-opted online commentators by funneling them nearly $10 million to pump pro-Russia propaganda and disinformation across social media to U.S. audiences. The Department will not tolerate foreign efforts to illegally manipulate American public opinion by sowing discord and division.”
Indictment
·············································································
The U.S. Presidential Election Heats Up
Harris and Trump offer starkly different visions on climate change and energy
Vice President Kamala Harris and former President Donald Trump have starkly different visions on how to address a changing climate while ensuring a reliable energy supply
Sept. 1, 2024
Via AP/ABC
○
August 2024
Kamala Harris Presidential Nomination Acceptance Speech
Kamala Harris Accepts
August 22, 2024
Democratic National Convention
Chicago, Illinois
···········································································································
The U.S. Presidential Race Has an Announcement
- Kamala Harris Chooses Her Running Mate -- Time Walz from Minnesota
July 2024
In the U.S. the Debate Grows and Policy Positions Change as Supreme Court Decisions Challenge Politics & Law
President Joe Biden: My plan to reform the Supreme Court and ensure no president is above the law
We can and must prevent the abuse of presidential power and restore the public’s faith in our judicial system
Washington Post | Opinion - Editorial Page
○
Press Release from the Office of the U.S. President
JULY 29, 2024
FACT SHEET: President Biden Announces Plan to Reform the Supreme Court and Ensure No President Is Above the Law
BRIEFING ROOM STATEMENT
From his first day in office—and every day since then—President Biden has taken action to strengthen American democracy and protect the rule of law.
In recent years, the Supreme Court has overturned long-established legal precedents protecting fundamental rights. This Court has gutted civil rights protections, taken away a woman’s right to choose, and now granted Presidents broad immunity from prosecution for crimes they commit in office.
At the same time, recent ethics scandals involving some Justices have caused the public to question the fairness and independence that are essential for the Court to faithfully carry out its mission to deliver justice for all Americans.
President Biden believes that no one—neither the President nor the Supreme Court—is above the law.
In the face of this crisis of confidence in America’s democratic institutions, President Biden is calling for three bold reforms to restore trust and accountability:
No Immunity for Crimes a Former President Committed in Office: President Biden shares the Founders’ belief that the President’s power is limited—not absolute—and must ultimately reside with the people. He is calling for a constitutional amendment that makes clear no President is above the law or immune from prosecution for crimes committed while in office. This No One Is Above the Law Amendment will state that the Constitution does not confer any immunity from federal criminal indictment, trial, conviction, or sentencing by virtue of previously serving as President.
Term Limits for Supreme Court Justices: Congress approved term limits for the Presidency over 75 years ago, and President Biden believes they should do the same for the Supreme Court. The United States is the only major constitutional democracy that gives lifetime seats to its high court Justices. Term limits would help ensure that the Court’s membership changes with some regularity; make timing for Court nominations more predictable and less arbitrary; and reduce the chance that any single Presidency imposes undue influence for generations to come.
President Biden supports a system in which the President would appoint a Justice every two years to spend eighteen years in active service on the Supreme Court.
Binding Code of Conduct for the Supreme Court:President Biden believesthat Congress should pass binding, enforceable conduct and ethics rules that require Justices to disclose gifts, refrain from public political activity, and recuse themselves from cases in which they or their spouses have financial or other conflicts of interest. Supreme Court Justices should not be exempt from the enforceable code of conduct that applies to every other federal judge.
President Biden and Vice President Harris look forward to working with Congress and empowering the American people to prevent the abuse of Presidential power, restore faith in the Supreme Court, and strengthen the guardrails of democracy. President Biden thanks the Presidential Commission on the Supreme Court of the United States for its insightful analysis of Supreme Court reform proposals. The Administration will continue its work to ensure that no one is above the law – and in America, the people rule.
See more re: the U.S. Republic, Democracy & Democratic Institutions at GreenPolicy360
···························································································
Trump Tells Christians ‘You Won’t Have to Vote Anymore’ If He’s Elected
NY Times
By Michael Gold
“Christians, get out and vote. Just this time,” he said at The Believers’ Summit [Friday, July 26), an event hosted by the conservative advocacy group Turning Point Action, in West Palm Beach, Fla.
“You won’t have to do it anymore, you know what? Four more years, it’ll be fixed, it’ll be fine, you won’t have to vote anymore, my beautiful Christians. I love you, Christians. I’m a Christian. I love you, you got to get out and vote. In four years, you don’t have to vote again. We’ll have it fixed so good, you’re not going to have to vote.”
Read more at Strategic Demands
- ···························································································
July 24, 2024
NYT: Here’s Where Kamala Harris Stands on Climate
Democratic Party's new candidate for President has strong environmental protection positions
She pursued polluters as attorney general in California and later staked out bold positions as a senator, including sponsorship of the Green New Deal.
Vice President Kamala Harris has for years made the environment a top concern, from prosecuting polluters as California’s attorney general to sponsoring the Green New Deal as a senator to casting the tiebreaking vote as vice president for the 2022 Inflation Reduction Act, the largest climate investment in United States history.
- ···························································································
Saudi Aramco Positions Itself for a Long Fossil Fuel Run
Via UK / Financial Times / July 10
Internal combustion engines will be around many, many years says Saudi Arabia's oil/gas company, Saudi Aramco. The state-owned oil group that made $500bn in revenues last year mainly from producing and selling crude is investing in carbon intensive products with a purpose.
“At the end of the day everyone is here to make money,” Yasser Mufti, Aramco executive vice-president said. He added about their new significant investment in Horse Powertrain engines... “there’s a lot of value proposition there”.
··········································································
News: Supreme Court of the United States
Supreme Court Says Donald Trump Is Shielded From Prosecution
The decision may effectively delay the trial of the case against the former president on charges of plotting to subvert the 2020 election.
June 2024
June 30
Time to Add Fact-Checking to Live, Broadcast/Streamed Political Debates
This week, on Thursday night, June 27th, some 50 million people tuned in to the CNN hosted 2024 US presidential campaign debate between current president Joe Biden and former president Donald Trump.
The debate rules had been negotiated between CNN and the candidate staffs and featured limited time periods for the candidates to answer questions or make statements and charges, with a system of lights monitoring the time periods, and microphones being muted when each candidate's time period expired. What wasn't addressed -- and turned out to be a critical issue and problem -- can be described as what do you do when questions are answered and instead a charged series of claims are made that range far from facts, and verbal accusations pile up, one after another to a degree that corrections by the accused candidate become impossible in the time allotted.
The presidential debate turned into an event far from facts and debate, but rather an overwhelmed format that led to calls to change the rules in the future to ensure a back-and-forth debate can take place.
We have a suggestion to make debates in the future work as *debates, not debacles. The key to success could be enabling fact-checking capabilities to accompany the live event. This seems like an idea whose time has come and software/services like AI that have recently been rolling out can do real-time fact checking in ways that are possible in new forms. Having debates *on the merits will breathe new life into rhetorical arguments that deserve to be better tomorrow.
A fact-checking add-on solution was explained by GreenPolicy360's siterunner after the June 27th event. We offer Steve Schmidt's opinion here:
A Debate to Remember
by Steve Schmidt / June 30, 2024
What happened in the presidential debate on June 27, 2024? Most of us are still wondering what was 'That' about?
The current president went to Atlanta to debate a former president -- the results were consequential -- and devastating. Another word, with exclamation, would be "Inconceivable!"
In a call out to classic movies lore (and memes), inconceivable! brings back memories of Wallace Shawn in "The Princess Bride". Shawn's character, Vizzini, immortalized the line, "Inconceivable!". This past week "Inconceivable!" returned on stage and delivered consequences beyond imagination.
Since the debate, watched by some 50 million people, the after effects have not ended. The questions that shocked -- of Joe Biden's performance, his health, his competence -- are now reverberating across the country. The writer Bob Woodward compared Biden's performance with an H bomb, and questioned what happened in President Biden's preparation for the debate.
The look of the 81 year old President was, from the opening of the debate until its closing worrying. The President looked pale, almost without any TV makeup. He was unsteady, his voice hoarse, he held on to his podium, he wavered, unsteady in action and words, His answers to questions became confused. On questions that were politically essential, such as women's reproductive rights and the recent Supreme Court decision striking down decades of Roe v. Wade with the Dobbs v. Jackson decision, he stumbled though he had been addressing this question-of-questions daily for months.
Meanwhile, the former President unleashed a torrent of verbal charges and attacks, refused to answer questions, and claimed throughout the debate that his term in office was the best ever. In fact, it wasn't and most every claim he made veered far from reality and fact.
Afterwards, Heather Cox Richardson, a well-known historian, wrote that the former president used a technique called the "Gish Gallup", that overwhelms an opponent by "by providing an excessive number of arguments with no regard for accuracy". Trump's on stage broadside was aided by debate rules that muted the President's microphone and, to expect the President to fact check the ex-President's 'firehose' of claims would have been 'inconceivable', even if the President wasn't expected to speak of his own vision of a political future.
The planning of the debate did not produce any means of 'fact checking', the two CNN moderators and no way to call out lies and charges made, no way to prevent the debate from descending -- and so it did. The microphone of President Biden was muted, he couldn't answer, he just had to stand there looking pale, distraught while the moderators and world watched.
At this point, one could hope that future debates will put in place some 'guard rails' and/or moderator/commentator input … Why not fact checkers, perhaps using new AI tools for rapid response capabilities that can deliver a scroll of verifications ...
Fact checkers? You might ask, who needs fact checkers (with badges)?!
We need facts and fact-checking as a profession has come a long way in recent years Fact-checking organizations have spread from the US to democratic nations of the world.
The International Fact-Checking Network, in fact, started in the US with the efforts of the Poynter Institute and its PolitiFact original work. The Reporters Lab of Duke University is also bringing fact checking services into media and educating as they go. Amid current political turmoil and fire hoses of dis- and mis-information across the Internet and social media, the new counters to those pedaling lies are available to use as services.
This past week, for example, a GlobalFact 11th annual international conference was held, successfully drawing from news, media and public interest groups internationally and offering fact checking 'best practices'.
Bottom line, facts count. There are ways to do better with debates. Before the next presidential debate, let's take time to present new ideas for debate improvement.
It's not Inconceivable! we can do better. To maintain and protect the Republic, and advance the nation's democratic institutions, we need facts. It's time for fact-checking real time in online debates. Our democracy will thank you and it's our responsibility to make it happen.
As Benjamin Franklin was reported saying of the new US experiment as he left Independence Hall after the Constitutional Convention: We have "a Republic, if you can keep it."
·················································································
Microorganisms, the "Tiny Little Ones"
June 24
Today's GreenPolicy360 'Story of the Day' begins with an excerpt from the NY Times (link provided w/ article free-to-view/without paywall). Earth science explored here by the NY Times Magazine speaks of "the tiny little ones" (as GreenPolicy often calls the tiny micro-life forms) that almost always go unseen by human eyes and unappreciated. Yet, as science is now discovering, microorganisms/microbes play an outside role in supporting, changing, and sculpting our Living Earth.
As we often do at GreenPolicy, we make "Earth System Science" connections , as in It's All Related with ecology as a guide. We now zoom into the microlife-story in the Amazon rainforest, one of our favorite bioregions. The NY Times Magazine story moves from the rainforest and its canopy with its (https://greenpolicy360.net/w/Rainforest amazing stories we were one of first to tell]. The story connects into the creation of clouds and rainstorm, then across skies and seas, and goes underground, deep into the crust of Planet Earth to reveal a Living Treasure...
"Life finds a way", as Michael Crichton memorably wrote and Jeff Goldblum intoned in a Jurassic movie warning delivered to a Barnum-Bailey developer's theme park team.
So let's go deeper now, this is more than an H.G. Wells tale or any Disney-Marvel animation or theme park ride (even Spaceship Earth at Epcot.)
The Mysterious, Deep-Dwelling Microbes That Sculpt Our Planet
By Ferris Jabr
Ferris Jabr is a contributing writer at the NY Times magazine and the author of “Becoming Earth: How Our Planet Came to Life."
In a typical year, the Amazon generates around half of its own rainfall.
The Amazon’s rain ritual challenges the way we typically think about life on Earth. Conventional wisdom holds that life is sub¬ject to its environment. If Earth did not orbit a star of the right size and age, if it were too close or too far from that star, if it did not have a stable atmosphere, liquid water and a magnetic field that deflects harmful cosmic rays, it would be lifeless. Life evolved on Earth be¬cause Earth is suitable for life. Since Darwin, prevailing scientific paradigms have likewise emphasized that the ever-shifting demands of the environment largely dictate how life evolves: Species best able to cope with changes to their particular habitats leave behind the most descendants, whereas those that fail to adapt die out.
Yet this truth has an underappreciated twin: Life changes its environment, too. In the mid-20th century, when ecology established itself as a formal discipline, this fact began to gain wider recognition in Western science. Even so, the focus was on relatively small and local changes: a beaver constructing a dam, for instance, or earthworms churning a patch of soil. The notion that living creatures of all kinds might modify their environments in much more significant ways — that microbes, fungi, plants and animals can change the topography and climate of a continent or even the entire planet — was rarely given serious consideration.
In recent decades, however, the scientific understanding of life’s relationship to the planet has been undergoing a major reformation. Contrary to longstanding maxims, life has been a formidable geological force throughout Earth’s history, often matching or surpassing the power of glaciers, earthquakes and volcanoes. Over the past several billion years, all manner of life forms, from microbes to mammoths, have transformed the continents, ocean and atmosphere, turning a lump of orbiting rock into the world as we’ve known it. Living creatures are not simply products of inexorable evolutionary processes in their particular habitats; they are orchestrators of their environments and participants in their own evolution.
We and other living creatures are more than inhabitants of Earth. We are Earth: an outgrowth of its physical structure and an engine of its global cycles. The evidence for this new paradigm is all around us, although much of it has been discovered only recently and has yet to permeate public consciousness to the same degree as, say, selfish genes or the microbiome.
The history of life on Earth is the history of life’s remaking Earth...
(In a mine tunnel now, deep beneath the surface of 'Planet Earth') ... Kneeling, I realized that the water was teeming with a stringy white material similar to the skin of a poached egg. Caitlin Casar, a geobiologist, explained that the white fibers were microbes in the genus Thiothrix, which join together in long filaments and store sulfur in their cells, giving them a ghostly hue. Here we were, deep within Earth’s crust — a place where, without human intervention, there would be no light and little oxygen — yet life was literally gushing from rock. This particular ecological hot spot had earned the nickname ThiothrixFalls...
Microbiomes empowering life, living systems, all related life...
An Unseen World
- The 'Tiny Little Ones'
GreenPolicy360: As the extraterrestrial search for life extends thru the data returned from Hubble and Webb space-based intergallactic imaging let's ask about non-surface exoplanet life-forms. The reflective multispectrum results of scanning by Hubble/Webb do not capture non-reflective, internal exoplanet results. Think about microbiomes ... and life in forms not captured by Hubble/Webb and scanning surveys of galaxies from state of the art instruments from Planet Earth.
···············································································
A Horizon of Strategic Threats to Life
A Nuclear Arms Race 3.0
- Follow GreenPolicy360's associate, Strategic Demands
·································································
- Geo-Facts to Keep in Mind
World's oceans have gone 'crazy haywire,' officials warn, with majority of coral reefs in peril
Heat stress levels literally off the charts of NOAA's alert system
Daily monitoring of ocean conditions around the world, released by NOAA’s Coral Reef Watch, shows zones of Bleaching Alert Level 4 in the central Pacific Ocean and off the Atlantic coast of South America, with some ribbons of Alert Level 5 in the southern Atlantic.
NOAA Coral Reef Watch Daily | Bleaching Alert Area 7-day Maximum | Chart (v3.1) 14 Jun 2024
🌎
In Memory of Astronaut William Anders
June 7, 2024
Former astronaut William Anders, who took iconic Earthrise photo, killed in Washington plane crash
Apollo 8's View of Earth on December 24, 1968
December 21, 1968 ... Apollo 8 launches from the Kennedy Space Center, the first humans on the way to the Moon --- and a vision looking back at home that empowered the modern environmental movement.
- Aboard Apollo, December 24, 1968...
As the spaceship swings around the Moon... unexpectedly the Earth rises in the Apollo ship's window and the astronauts are amazed at what is coming into view...
Astronaut Bill Anders is the first to see the Earth...
Anders: "Oh, my God, look at that picture over there," he can be heard saying. "There's the Earth coming up. Wow, is that pretty!"
What happened next will sound familiar to anyone who remembers the days before digital cameras:
Anders (to astronaut Jim Lovell): "You got a color film, Jim? Hand me a roll of color, quick, would you?"
Lovell: "Oh, man, that's great! Where is it?"
Anders: "Hurry. Quick."
Lovell: "Down here?"
Anders: "Just grab me a color. A color exterior. Hurry up. Got one?"
Lovell: "Yeah, I'm lookin' for one. C368."
Anders: "Anything quick."
Lovell hands him the film just as Anders is heard saying, "I think we missed it."
But within seconds, Lovell sees the shot again in another window of the command module. He asks for the camera from Anders, who seems a bit defensive at having his role as mission photographer usurped.
Anders: "Wait a minute, just let me get the right setting here now, just calm down. Calm down, Lovell!"
Anders then gets the shot that has been reproduced innumerable times all over the world...
Changing forever humanity's vision of ourselves, of who we are
🌎 'Earthrise' poem by Amanda Gorman
Apollo 8
🌎
UN chief says world is on ‘highway to climate hell’ as planet endures 12 straight months of unprecedented heat
Climate Policy @GreenPolicy360
🥵
As Insurers Around the U.S. Bleed Cash From Climate Shocks, Homeowners Lose
The insurance turmoil caused by climate change — which had been concentrated in Florida, California and Louisiana — is fast becoming a contagion, spreading to states like Iowa, Arkansas, Ohio, Utah and Washington. Even in the Northeast, where homeowners insurance was still generally profitable last year, the trends are worsening.
In 2023, insurers lost money on homeowners coverage in 18 states, more than a third of the country, according to a New York Times analysis of newly available financial data. That’s up from 12 states five years ago, and eight states in 2013. The result is that insurance companies are raising premiums by as much as 50 percent or more, cutting back on coverage or leaving entire states altogether. Nationally, over the last decade, insurers paid out more in claims than they received in premiums, according to the ratings firm Moody’s, and those losses are increasing.
The growing tumult is affecting people whose homes have never been damaged and who have dutifully paid their premiums, year after year. Cancellation notices have left them scrambling to find coverage to protect what is often their single biggest investment. As a last resort, many are ending up in high-risk insurance pools created by states that are backed by the public and offer less coverage than standard policies. By and large, state regulators lack strategies to restore stability to the market...
🌎
May
Commencement Address at Brandeis University
- By Ken Burns
(GreenPolicy360 - A keeper and a graduation message to share widely)
Commencement 2024
Honorary degree recipient Ken Burns gives the Commencement address during the Undergraduate Commencement ceremony
Brandeis University's 73rd Commencement Exercises, May 2024
Transcript
Brandeisian, love it.
President Liebowitz, Ron, Chair Lisa Kranc, and other members of the board of trustees, Provost Carol Fierke, fellow honorees, distinguished faculty and staff, proud and relieved parents, calm and serene grandparents, distracted but secretly pleased siblings, ladies and gentlemen, graduating students of the class of 2024, good morning.
I am deeply honored and privileged that you have asked me here to say a few words at such a momentous occasion that you might find what I have to say worthy of your attention on so important a day in all of your lives. Thank you for this honor.
Listen, I am in the business of history. It is not always a happy subject on college campuses these days, particularly when forces seem determined to eliminate or water down difficult parts of our past, particularly when the subject may seem to some an anachronistic and irrelevant pursuit, and particularly with the ferocious urgency this moment seems to exert on us. It is my job, however, to remind people of the power our past also exerts, to help us better understand what's going on now with compelling story, memory, and anecdote. It is my job to try to discern patterns and themes from history to enable us to interpret our dizzying and sometimes dismaying present.
For nearly 50 years now, I have diligently practiced and rigorously tried to maintain a conscious neutrality in my work, avoiding advocacy if I could, trying to speak to all of my fellow citizens. Over those many decades I've come to understand a significant fact, that we are not condemned to repeat, as the saying goes, what we don't remember. That is a beautiful, even poetic phrase, but not true. Nor are there cycles of history as the academic community periodically promotes. The Old Testament, Ecclesiastes to be specific, got it right, I think. What has been will be again, what has been done will be done again. There is nothing new under the sun. What those lines suggest is that human nature never changes or almost never changes. We continually superimpose that complex and contradictory human nature over the seemingly random chaos of events, all of our inherent strengths and weaknesses, our greed and generosity, our puritanism and our prurience, our virtue, and our venality parade before our eyes, generation after generation after generation. This often gives us the impression that history repeats itself. It does not. "No event has ever happened twice, it just rhymes," Mark Twain is supposed to have said. I have spent all of my professional life on the lookout for those rhymes, drawn inexorably to that power of history. I am interested in listening to the many varied voices of a true, honest, complicated past that is unafraid of controversy and tragedy, but equally drawn to those stories and moments that suggest an abiding faith in the human spirit, and particularly the unique role this remarkable and sometimes also dysfunctional republic seems to play in the positive progress of mankind.
During the course of my work, I have become acquainted with hundreds if not thousands of those voices. They have inspired, haunted, and followed me over the years. Some of them may be helpful to you as you try to imagine and make sense of the trajectory of your lives today.
Listen, listen. In January of 1838, shortly before his 29th birthday, a tall, thin lawyer prone to bouts of debilitating depression addressed the young men's lyceum in Springfield, Illinois. "At what point shall we expect the approach of danger?" He asked his audience, "Shall we expect some trans-Atlantic military giant to step the earth and crush us at a blow?" Then he answered his own question. "Never. All the armies of Europe, Asia, and Africa could not by force take a drink from the Ohio River or make a track on the Blue Ridge in a trial of a thousand years. If destruction be our lot, we must ourselves be its author and finisher. As a nation of free men, we must live through all time or die by suicide." It is a stunning, remarkable statement, one that has animated my own understanding of the American experience since I first read it more than 40 years ago. That young man was of course Abraham Lincoln, and he would go on to preside over the closest this country has ever come to near national suicide, our civil war, and yet embedded in his extraordinary, disturbing, and prescient words is also a fundamental optimism that implicitly acknowledges the geographical forcefield two mighty oceans east and west and two relatively benign neighbors north and south have provided for us since the British burned the White House in the War of 1812 and inspired Francis Scott Key.
Lincoln's words that day suggest what is so great and so good about the people who happen to inhabit this lucky and exquisite country of ours. That's the world you now inherit: our work ethic and our restlessness, our innovation and our improvisation, our communities and our institutions of higher learning, our suspicion of power. The fact that we seem resolutely dedicated to parsing the meaning between individual and collective freedom; What I want versus what we need. That we are all so dedicated to understanding what Thomas Jefferson really meant when he wrote that mysterious phrase, "The pursuit of happiness". Hint, it happens right here in the lifelong learning and perpetual improvement this university is committed to.
But the isolation of those two oceans has also helped to incubate habits and patterns less beneficial to us: our devotion to money and guns and conspiracies, our certainty about everything, our stubborn insistence on our own exceptionalism blinding us to that which needs repair, especially with regard to race and ethnicity. Our preoccupation with always making the other wrong at an individual as well as a global level. I am reminded of what the journalist I.F. Stone once said to a young acolyte who was profoundly disappointed in his mentor's admiration for Thomas Jefferson. "It's because history is tragedy," Stone admonished him, "Not melodrama." It's the perfect response. In melodrama all villains are perfectly villainous and all heroes are perfectly virtuous, but life is not like that. You know that in your guts and nor is our history like that. The novelist, Richard Powers recently wrote that, "The best arguments in the world," — and ladies and gentlemen, that's all we do is argue — "the best arguments in the world," he said, "Won't change a single person's point of view. The only thing that can do that is a good story." I've been struggling for most of my life to do that, to try to tell good, complex, sometimes contradictory stories, appreciating nuance and subtlety and undertow, sharing the confusion and consternation of unreconciled opposites.
But it's clear as individuals and as a nation we are dialectically preoccupied. Everything is either right or wrong, red state or blue state, young or old, gay or straight, rich or poor, Palestinian or Israeli, my way or the highway. Everywhere we are trapped by these old, tired, binary reactions, assumptions, and certainties. For filmmakers and faculty, students and citizens, that preoccupation is imprisoning. Still, we know and we hear and we express only arguments, and by so doing, we forget the inconvenient complexities of history and of human nature. That, for example, three great religions, their believers, all children of Abraham, each professing at the heart of their teaching, a respect for all human life, each with a central connection to and legitimate claim to the same holy ground, violate their own dictates of conduct and make this perpetually contested land a shameful graveyard. God does not distinguish between the dead. "Could you?"
[Audience applauding]
"Could you?" A very wise person I know with years of experience with the Middle East recently challenged me, "Could you hold the idea that there could be two wrongs and two rights?"
Listen, listen. In a filmed interview I conducted with the writer James Baldwin, more than 40 years ago, he said, "No one was ever born who agreed to be a slave, who accepted it. That is, slavery is a condition imposed from without. Of course, the moment I say that," Baldwin continued, "I realize that multitudes and multitudes of people for various reasons of their own enslave themselves every hour of every day to this or that doctrine, this or that delusion of safety, this or that lie. Anti-Semites, for example," he went on, "are slaves to a delusion. People who hate Negroes are slaves. People who love money are slaves. We are living in a universe really of willing slaves, which makes the concept of liberty and the concept of freedom so dangerous," he finished. Baldwin is making a profoundly psychological and even spiritual statement, not just a political or racial or social one. He knew, just as Lincoln knew, that the enemy is often us. We continue to shackle ourselves with chains we mistakenly think is freedom.
Another voice, Mercy Otis Warren, a philosopher and historian during our revolution put it this way, "The study of the human character at once opens a beautiful and a deformed picture of the soul. We there find a noble principle implanted in the nature of people, but when the checks of conscience are thrown aside, humanity is obscured." I have had the privilege for nearly half a century of making films about the US, but I have also made films about us. That is to say the two letter, lowercase, plural pronoun. All of the intimacy of "us" and also "we" and "our" and all of the majesty, complexity, contradiction, and even controversy of the US. And if I have learned anything over those years, it's that there's only us. There is no them. And whenever someone suggests to you, whomever it may be in your life that there's a them, run away. Othering is the simplistic binary way to make and identify enemies, but it is also the surest way to your own self imprisonment, which brings me to a moment I've dreaded and forces me to suspend my longstanding attempt at neutrality.
There is no real choice this November. There is only the perpetuation, however flawed and feeble you might perceive it, of our fragile 249-year-old experiment or the entropy that will engulf and destroy us if we take the other route. When, as Mercy Otis Warren would say, "The checks of conscience are thrown aside and a deformed picture of the soul is revealed." The presumptive Republican nominee is the opioid of all opioids, an easy cure for what some believe is the solution to our myriad pains and problems. When in fact with him, you end up re-enslaved with an even bigger problem, a worse affliction and addiction, "a bigger delusion", James Baldwin would say, the author and finisher of our national existence, our national suicide as Mr. Lincoln prophesies. Do not be seduced by easy equalization. There is nothing equal about this equation. We are at an existential crossroads in our political and civic lives. This is a choice that could not be clearer.
[Audience applauding]
Listen, listen. 33 years ago, the world lost a towering literary figure. The novelist and storyteller, not arguer, Isaac Bashevis Singer. For decades he wrote about God and myth and punishment, fate and sexuality, family and history. He wrote in Yiddish a marvelously expressive language, sad and happy all at the same time. Sometimes maddeningly all knowing, yet resigned to God's seemingly capricious will. It is also a language without a country, a dying language in a world more interested in the extermination or isolation of its long suffering speakers. Singer, writing in the pages of the Jewish Daily Forward help to keep Yiddish alive. Now our own wonderfully mongrel American language is punctuated with dozens of Yiddish words and phrases, parables and wise sayings, and so many of those words are perfect onomatopoeias of disgust and despair, hubris and humor. If you've ever met a schmuck, you know what I'm talking about. [audience laughs] Toward the end of his long and prolific life, Singer expressed wonder at why so many of his books written in this obscure and some said useless language would be so widely translated, something like 56 countries all around the world. "Why," he would wonder with his characteristic playfulness, "Why would the Japanese care about his simple stories of life in the shtetls of Eastern Europe 1,000 years ago?" "Unless," Singer paused, twinkle in his eye, "Unless the story spoke of the kinship of the soul." I think what Singer was talking about was that indefinable something that connects all of us together, that which we all share as part of organic life on this planet, the kinship of the soul. I love that.
Okay, let me speak directly to the graduating class. Watch out, here comes the advice. Listen. Be curious, not cool. Insecurity makes liars of us all. Remember, none of us get out of here alive. The inevitable vicissitudes of life, no matter how well gated our communities, will visit us all. Grief is a part of life, and if you explore its painful precincts, it will make you stronger. Do good things, help others. Leadership is humility and generosity squared. Remember the opposite of faith is not doubt. Doubt is central to faith. The opposite of faith is certainty. The kinship of the soul begins with your own at times withering self-examination. Try to change that unchangeable human nature of Ecclesiastes, but start with you. "Nothing so needs reforming," Mark Twain once chided us, "As other people's habits." [audience laughs]
Don't confuse success with excellence. Do not descend too deeply into specialism. Educate all of your parts, you will be healthier. Do not get stuck in one place. "Travel is fatal to prejudice," Twain also said. Be in nature, which is always perfect and where nothing is binary. Its sheer majesty may remind you of your own atomic insignificance, as one observer put it, but in the inscrutable and paradoxical ways of wild places, you will feel larger, inspirited, just as the egotist in our midst is diminished by his or her self regard.
At some point, make babies, one of the greatest things that will happen to you, I mean it, one of the greatest things that will happen to you is that you will have to worry, I mean really worry, about someone other than yourself. It is liberating and exhilarating, I promise. Ask your parents.
[Audience laughs]
Choose honor over hypocrisy, virtue over vulgarity, discipline over dissipation, character over cleverness, sacrifice over self-indulgence. Do not lose your enthusiasm, in its Greek etymology the word enthusiasm means simply, "god in us". Serve your country. Insist that we fight the right wars. Denounce oppression everywhere.
[Audience applauding]
Convince your government, as Lincoln understood that the real threat always and still comes from within this favored land. Insist that we support science and the arts, especially the arts.
[Audience cheering]
They have nothing to do with the actual defense of our country; They just make our country worth defending.
[Audience applauding]
Remember what Louis Brandeis said, "The most important political office is that of the private citizen." Vote. You indelibly... [audience applauding] Please, vote. You indelibly underscore your citizenship, and most important, our kinship with each other when you do. Good luck and godspeed.
[Audience applauding]
🌎
On the Beach, In the Intertidal Zone
A Brief History of the Future
In the Intertidal Zone
🌎
Category 6 Hurricanes? It's Getting Gnarly Out There!
Scientist are proposing an update of the scale to include category 6 hurricanes, which are those with winds over 192 mph.
According to the Guardian: “Hurricanes are becoming so strong due to the climate crisis that the classification of them should be expanded to include a “category 6” storm, furthering the scale from the standard 1 to 5, according to a new study.
Over the past decade, five storms would have been classed at this new category 6 strength, researchers said, which would include all hurricanes with sustained winds of 192 mph or more. Such mega-hurricanes are becoming more likely due to global heating, studies have found, due to the warming of the oceans and atmosphere.
Michael Wehner, a scientist at the Lawrence Berkeley National Laboratory in the US, said that “192mph is probably faster than most Ferraris, it’s hard to even imagine”. He has proposed the new category 6 alongside another researcher, James Kossin of the University of Wisconsin-Madison. “Being caught in that sort of hurricane would be bad. Very bad.”
The study was published in Proceedings of the National Academy of Sciences, and reported in the Guardian by Oliver Milman on 5 Feb 2024.
🌎
Re: Climate Policy News, Renewable, Clean Energy instead of Burning Fossil Fuels
Battery costs have dropped 90% in under 15 years giving renewables a boost, new IEA report reveals
While China produces most batteries today, the report shows that 40 per cent of announced plans for new battery manufacturing is in advanced economies such as the US and the European Union.
Battery deployment still needs to scale up significantly in the next few years if the world is to hit our energy and climate goals.
To do so, overall energy storage capacity will need to increase sixfold by 2030 worldwide, with batteries accounting for 90 per cent of the increase and pumped hydropower covering most of the rest.
🌎
April 22, 2024
Personal Memories on the Road to the First Earth Day
PlanetCitizen.org / Earth System Science / Measuring "Vital Signs"
🌎
🌎
Story Telling and Science Education
'Thought for the Day'
🌎
Beginnings of the Modern Environmental Movement
* https://www.greenpolicy360.net/mw/images/1969_beginnings_of_the_modern_environmental_movement.pdf
* https://www.greenpolicy360.net/w/Earth_Day_Memories_on_the_50th_Anniversary
GreenPolicy360 Siterunner: Many years ago our student movement began 'going green' and creating a 'modern environmental movement'. New visions of what could be and should be came into view and when we pitched a US Senator back in 1969, Senator Nelson thanked us for our "peace movement" and said he was "inspired" by our energy. He especially appreciated the "teach ins" we were organizing and when he came to California listened to our ideas in detail. He visited the historic oil spill off the Santa Barbara coastline, and he became convinced. A special day could and should spread the message -- the peace movement organizing, the teach ins, the student energy would transition into eco-organizing. Peace, democracy in action and environmental protection would move together.
The first Earth Day was soon announced and here in 2024 and again we are about to again do what we do.... At GreenPolicy360 we call this -- "Earth Day is every day".
Here comes April 22nd, 2024. Get ready to 'Get with the action' ...
- Every Day Is Earth Day
- 🌎
March
As the upcoming US presidential election heats up, threats to US democratic institutions heat up...
○
A Living Earth, a Living Cell
- Macro to Micro on All Species Day
🌎
More (without a paywall) on the opportunities to use MethaneSAT data, internationally, in the years to come. This Earth Imaging data, a consequence of decades of Earth research from satellites development, promises to be an environmental security/climate policy and enforcement game changer
On March 4, 2024, MethaneSAT detached from the SpaceX Transporter-10 rocket that carried the emissions-monitor into space.
The groundbreaking satellite is designed to help protect the Earth’s climate by accelerating reductions of this powerful greenhouse pollutant, focusing on oil and gas operations, a major source of methane.
MethaneSAT data will become available, it has been announced, for download in the Google Earth Engine database...
MethaneSAT is the first satellite developed by an environmental non-profit and enables emissions tracking and business accountability. The net result -- faster reductions of methane gas.
Climate Action Plans 360
In 2020/21 GreenPolicy360 first put forward a strategic initiative for "climate plans enforcement" developed and presented by nearly all nations of the world at climate summits. The Paris conference in 2015 was the first reveal of this plans and since then many promises for action have been made by nations and their political representatives -- but with sporadic follow up and performance.
We saw a pressing need to, as we put it, 'turn national climate plans and pledges into reality'. The plans/pledges/promises made on paper had to translate to action on the ground and, as we said, in the skies above. The INDCs (Intended Nationally Determined Contributions) had to bring in facts and data, and as we pointed to, the data was there in the form of satellite missions capable of surveying and reporting emissions, hot spots, 'code red' vital signs.
In other words, as we have said for many years, science could be and should be used. 'Measure-to-manage' was a call to action for climate plans enforcement.
The use of Earth Imaging systems via satellite programs was high on our list, as our GreenPolicy360 founder has been involved in Earth Science research from space since its beginnings in the 1970s.
Now, with the launch of MethaneSAT, the vision of data that can be used for enforcement, to reduce methane emissions as a potent source of global warming, is now becoming a reality. Read on...
Distributing the MethaneSAT data is the next step...
GRN360: Climate Plans Enforcement Initiative
GRN3360: Methods to Enforce Climate Plan Pledges
First satellite developed by an environmental non-profit will see methane emissions others can’t, paving the way for heightened accountability and faster reductions
- MethaneSat Media Kit
🌎
Along Comes Data
You don't need a degree in statistics to know that facts count and data is a key to seeing how to navigate to your goals and destination.
Our World in Data is one of the best sources available online for gathering data in its various forms, fields, presentations and timelines. Our World in Data is now launching -- Data Insights.
The motto of Our World in Data is "Research and data to make progress against the world’s largest problems." GreenPolicy360 agrees.
We regularly check with Our World in Data for their data-science.
One of GreenPolicy360's oft-stated axioms is 'facts count' and so, after checking out Our World in Data and bookmarking them as a favorite, perhaps it's time to surf through some of GreenPolicy360's popular facts and science pages. One of our key goals is to provide actionable facts, data, and science that powers up green work...
Data, Intelligence, Science
GreenPolicy360 & Science
- GreenPolicy360, Facts & Data -- GreenPolicy360, Our Policy on Science
- https://www.greenpolicy360.net/w/File:Good_science_needs_good_data_.png
- https://www.greenpolicy360.net/w/Stats_-_Green_Research_%26_Science
- https://www.greenpolicy360.net/w/Climate_Change_-_Global_Warming_Keyword-Terms
- https://www.greenpolicy360.net/w/Merchants_of_Doubt
- https://www.greenpolicy360.net/w/File:Science_denial_graph.jpg (Graph)
- https://www.greenpolicy360.net/w/File:FLICC_techniques_of_science_denial.png (Video)
- http://www.nature.com/news/wikipedia-shapes-language-in-science-papers-1.22656
Prepare to debate on the merits of the facts and the science... here are some means and methods, logic and argumentation, to employ when interacting with those involved in Climate Denial and Misinformation ...
- https://secure.avaaz.org/campaign/en/facebook_climate_misinformation/
- https://climatefeedback.org
- https://climatecrocks.com/
- https://www.vice.com/amp/en_us/article/y3z737/the-12-arguments-every-climate-denier-uses-and-how-to-debunk-them
- http://www.desmogblog.com/
- http://www.desmogblog.com/about
- http://www.desmogblog.com/global-warming-denier-database
- http://www.desmogblog.com/slamming-the-climate-skeptic-scam
- https://www.beforetheflood.com/explore/the-deniers/top-10-climate-deniers/
- https://www.drillednews.com/post/fake-science-is-a-real-danger
- https://grist.org/series/skeptics/
- https://www.greenpolicy360.net/w/File:PEN_America-Earth_Institute-Columbia_U..._How_to_defend_yourself_online.jpg
- https://www.greenpolicy360.net/w/Planet_of_the_Humans,_a_documentary_film
- http://www.greenpolicy360.net/w/Climate_Change_Denier_Talking_Points_--_and_Rebuttals
- https://skepticalscience.com/argument.php
- https://skepticalscience.com/climate-models-intermediate.htm
- https://www.snopes.com/collections/climate-change-denial-debunked/
- https://www.greenpolicy360.net/w/File:Science_denial_graph.jpg (Graph)
- https://www.greenpolicy360.net/w/File:FLICC_techniques_of_science_denial.png (with Video)
··················································································································
Ready for a trip to our friends 35th Annual Conference?
Join in. Make a Positive Difference... 'Your Life is Your Message'
🌎
March 3
On World Wildlife Day
- ································································································
February 26, 2024
Flaco, the Eurasian Eagle Owl, Has Died
The Owl who escaped from the NY Central Park Zoo, went wild and lived with Owl freedom in the middle of New York City has come to an end.
The saga of Flaco touches on many "Living Earth" threads that weave throughout the environmental protection movement and a long-time eco-journalist, Andy Revkin, touched many of these in his new thought piece exploring 'the many meanings of the death of Flaco'. We agree with Andy@Revkin. The passing of a 'wise' symbol, who chose freedom instead of regular comfort, food, and security, who had to forage and use their wits to survive amid a very loud, dangerous, and unforgiving world (albeit one with plenty of scurrying rats running about in the streets and alleys), did resonate with many species human.
Here's Andy talking with cohorts who know about birds, and bird life, and threats that we humans can act to minimize as we look to protect life of Earth...
Andy's guests @ 1 PM EST Feb. 26:
• Carl Safina, ecologist, conservationist and author, whose New York Times op-ed article was just posted. Here it is paywall-free - “Like Many a Hero, Flaco the Owl Made His Choice.”
(from the article) - Almost from the moment he was released, Flaco became a symbol of hope for many of the people who followed his story and recognized parts of themselves in him. Some saw him as the embodiment of the American dream, an outsider who had come to Manhattan and made a life for himself here, like millions of others who arrived penniless and unconnected in their quest for freedom. Others saw him as a poignant reminder that you can find happiness even if you’re alone (as the only free-living Eurasian eagle-owl in the Western Hemisphere, he had no chance of ever finding a wild mate). ...
Though the animal literature is peppered with stories of animals — usually pets — who suffer hardships and return home, Flaco never retreated to the zoo. Perhaps freedom itself was the home he’d discovered.
Andy also interviewed Adam Smith and Brendon Samuels -
• Adam Smith, an architect and director of design at Synecdoche, a Michigan firm centering bird-safe features in its projects.
• Brendon Samuels, a Ph.D. candidate at Western University in London, Ontario, studying building design and bird behavior. Samuels, working with the Fatal Light Awareness Program, a k a FLAP Canada, has created and assembled an array of invaluable resources highlighting the bird-building collision crisis and ways to mitigate enormous losses, which, he stresses, are NOT restricted to cities.
GreenPolicy360 suggests all of us protect birds and wildlife.
The times we are in, times of endangered species and species extinction suggest an All Species Day, today.
🌎
February 19, 2024
Inside Aleksei Navalny’s Final Months
Excerpts from the Unlocked' NY Times Article
Quoted from letters sent from a small cell in the Arctic...
Confined to cold, concrete cells and often alone with his books, Aleksei A. Navalny sought solace in letters. To one acquaintance, he wrote in July that no one could understand Russian prison life “without having been here,” adding in his deadpan humor: “But there’s no need to be here.” ...
Many details about his last months — as well as the circumstances of his death, which the Russian authorities announced on Friday — remain unknown; even the whereabouts of his body are unclear. ...
Even as brutal prison conditions took their toll on his body — he was often denied medical and dental treatment — there was no hint that Mr. Navalny had lost his clarity of mind, his writings show. ...
"I really miss the daily grind — news about life, food, salaries, gossip.”
Kerry Kennedy, a human-rights activist and the daughter of the Democratic politician Robert F. Kennedy, who was assassinated in 1968, also exchanged letters with Mr. Navalny. He told her that he had cried “two or three times” while reading a book about her father recommended by a friend, according to a copy of a letter, handwritten in English, that Ms. Kennedy posted on Instagram after Mr. Navalny died.
Mr. Navalny thanked Ms. Kennedy for sending him a poster with a quote from her father’s speech about how a “ripple of hope,” multiplied a million times, “can sweep down the mightiest walls of oppression and resistance.”
“I hope one day I’ll be able to hang it on the wall of my office,” Mr. Navalny wrote. ...
Mr. Krasilshchik... said he was left to ruminate on the last letter he received, in September. Mr. Navalny concluded it by positing that if South Korea and Taiwan were able to make the transition from dictatorship to democracy, then perhaps Russia could, too.
“Hope. I’ve got no problem with it,” Mr. Navalny wrote.
He signed off: “Keep writing! A.”
🌎
GreenPolicy360: A Global Hub of Green Values and Green Action
- Being Green is a Quest and a Challenge
International wiki photo contest
·····································
SJS/GreenPolicy360 Siterunner:
Planet Labs first came onto our radar screen here in 2011. We have been following the evolution of the Planet Labs' story (now re-branded Planet @ Planet.com) from its mission statement to today.
Using Space to Help Life on Earth
Planet is driven by a mission to image all of Earth's landmass every day, and make global change visible, accessible and actionable.
Planet, the Company
We, at GreenPolicy360, have a special interest in the work of Planet, as we were 'in at the beginning' as it were. We were there, in person, close up, when the original NASA mission statement, including these words -- “To understand and protect our home planet..." -- were being spoken of by a US representative serving on the Space and Technology committee responsible for policy and oversight. Congressman George Brown from California showed your GreenPolicy360 Founder/Siterunner words that were motivating him to propose Landsat missions that came to be called 'Big Science', Earth Imaging/Earth Science and Atmospheric-Climate Science. For 30+ years Representative George E. Brown led the charge, as it were, to gather the data needed to make informed and wise decisions about our home Planet.
A decade after George's passing away in 1999, youthful engineers from NASA 'spun off' from the 'home ship' to launch Planet Labs and their mission resonated with a mission we share. Our environmental work goes back to this mission and, as we have attempted to bring it into the light, it is again time to highlight Planet.
Take a look at their most recent add-ons to what we call a Planet API. It's AI time, artificial intelligence applied to analyzing the Earth imaging data that has been gathered over a decade by Planet and is being queried and utilized in ways that Rep. Brown used to explain was his dream, as he, also an engineer, explained how the public-private partnerships, with universities and educators, using fleets of satellite with new digital imaging and data banks, would enable a new vision for citizens across the Earth.
And now, here we are! Planet.com and GreenPolicy360.com, we're on mission ....
- https://www.greenpolicy360.net/w/Environmental_movement
- https://www.greenpolicy360.net/w/Earth_Day_Memories_on_the_50th_Anniversary
Understanding AI’s Impact on Space Data with Planet’s Head of Product
We, now at GreenPolicy360, are continuing on, presenting Earth science news, green politics and environmental movement recollections and highlights from the eco-journey:
New Ways to See & Experience Planet Earth
Visit GreenPolicy360's story of Earth Science research from our decades of research, eco-activism and #PlanetCitizens education.
Our eco operating system (eOS) includes:
ThinBlueLayer.com - Look at how thin our atmosphere is
New Definitions of National Security
Earth Science Research from Space
·····································
Flashback -- 1978, Climate Action Memories
- GreenPolicy360 Siterunner: Our friend George steps up in Congress
·······················································
First National Climate Act
GreenPolicy360 Siterunner / SJ Schmidt: The beginnings of modern environmental and climate science can be traced to the 1960s and 1970s. The U.S. National Academy of Sciences played a key role in laying a foundation of scientific reports and data.
Energy and Climate Report, 1977, National Academy of Sciences / 175 pp. / PDF via GreenPolicy360
Rep. George Brown took the findings of the 1977 Energy and Climate Report from the Academy of Sciences and made the science actionable. In a historic moment, he proposed and drafted the legislation of the first U.S. National Climate Program and shepherded its passage in 1978.
This first federal program established to study and assess scientifically the issues and risks of human-caused climate change became a foundation for comprehensive initiatives, with an array of new Earth Science missions led by NASA and NOAA, the EPA and USGS.
🌎
1992 -- Earth Summit
- We reported 'deep on the first Earth Summit'...
- and worked to draft a 1992 US presidential campaign platform 'heavy on the green'
- Launch of Annual International Climate Conferences
🌎
GreenPolicy360 Siterunner: Memories of Riding Free in Canyons and on Mesas of the Ghost Ranch
- (And memories of my spirited & wild Appaloosa and Ghost Ranch exploring after summer monsoons)
Thank you David Lancaster for Your Magnificent Photo of the ...
- Milky Way above the Pedernal and Ghost Ranch, in Georgia O'Keefe Northern New Mexico
🌎
"Democracy is on the ballot"
- US President Joe Biden's Speech in Pennsylvania Signals a Main Theme in the 2024 Presidential Campaign
January 2024
"“We must be clear,” Mr. Biden said. “Democracy is on the ballot. Your freedom is on the ballot.” ...
"Today, we are here to answer the most important of questions: Is democracy still America's sacred cause? ... it's what the 2024 election is all about...
- (AP Photo/Stephanie Scarbrough)
2023
GreenPolicy360's 'Favorite Pic' from 2023
December
Our Living Planet: Recalling the Message of a Presidential Farewell -- and the Anniversary of the US Endangered Species Protection Act'
December 28, on the 50th Anniversary of the Endangered Species Act being signed into law:
President Joe Biden, today on the anniversary of the Endangered Species Act, urged Americans to protect ecosystems and biodiversity and to “honor all the progress we have made toward protecting endangered species,” and to “come together to conserve our planet.”
Presidents make a difference, as we can see.
And today, thinking of life, we are remembering Jimmy Carter in his presidential farewell speech:
President Carter left office by urging Americans to “protect the quality of this world within which we live…. There are real and growing dangers to our simple and our most precious possessions: the air we breathe, the water we drink, and the land which sustains us... The rapid depletion of irreplaceable minerals, the erosion of topsoil, the destruction of beauty, the blight of pollution, the demands of increasing billions of people, all combine to create problems which are easy to observe and predict, but difficult to resolve.
We, at GreenPolicy360, urge our Planet Earth community, as 2024 approaches, to move away from generation-to-generation war and to act to protect life and our common future.
Via the UCSB Special Collection Library
······················································
······················································
Photo by Santiago-Borja
With 2024 in View
The Poynter Institute
The Tampa Bay Times | Poynter home of fact-checking pioneer, PolitiFact announced today (Dec. 23) that it is expanding PolitiFact's coverage beginning in January 2024. Good news, especially here 'on the home front', as GreenPolicy360's global network originates in Tampa Bay.
GreenPolicy360 has been following PolitiFact from its initial beginnings (launched in 2007). PolitiFact has changed the national and international news business as their original idea and model of a fact-checking news operation has grown into industry-wide fact checking around the world. It is evident that the need for focus on facts and evidence in these times of dis- and mis-information is an essential contribution by a free press and online fact checking sources to enable accurate judgment, decision-making and a successful democracy.
The online world is especially convoluted these days... the demands for fact-checking of memes and gaslighting, dis- and mis-info is 24/7/365
We at GreenPolicy360 are pleased to have shared the Poynter PolitiFact story and expansion of its 'best practices' networking model. At the end of last year, 2022, there were 424 fact-checking websites, up from just 11 in 2008, according to an annual census by the Duke University Reporters’ Lab. Poynter's PolitiFact and over 100 news publishing participants in a global fact checking network are confronting/battling an online proliferation of dis/misinformation, lies and political manipulation. Today and going forward, fact-checking operations are playing an increasingly essential role, delivering information, facts, opening eyes and bringing profoundly important veritas to people in every nation, community, market and political system.
○
GreenPolicy360: Follow Our "Climate Plans Enforcement" Initiative
Climate Plans Enforcement - Resources
GreenPolicy360 welcomes the arrival of a global science mission, a "Global Stocktake", a collection of earth science data to be made available to the community of nations, to planet citizen activists and scientists, educational institutions, non-profits, NGOs, young and old to become tools for legal enforcement of national climate plans & pledges
GreenPolicy360's Campaign to 'Turn National Climate Promises & Pledges into Reality'
- Our Climate Plans Enforcement Initiative continues as the next Global Climate Conference approaches, November's Conference of the Parties (COP27)
- Drawing from the database of Earth Science resulting from decades of space-based missions designed to provide us with actionable 'Earth-system and Climate-related data'
- Measuring and Monitoring to better manage Earth's Living, Dynamic and Changing Systems, Local, National and Global
Methods to Enforce Climate Plan Pledges
GreenPolicy360: Climate Plans Enforcement Initiative
Pressuring Nations to Step Up, Cooperate, and Act Now
Environmental Laws, Regs, Rules... Lawsuits & Legal Actions
Glasgow (2021) & Paris (2015) Summits: Int'l Climate Plan Pledges & Promises (INDCs-NDCs)
"Earth Observing System": Decades of Earth Science/Climate Science Data Accessible for Planet Citizen Action
🌎
"Thin Blue" / www.thinbluelayer.com
- https://www.greenpolicy360.net/w/Category:Planet_Citizens,_Planet_Scientists
- https://www.greenpolicy360.net/w/Category:Earth_Science
- https://www.greenpolicy360.net/w/Category:Whole_Earth
- An Earth Point of View
Apollo's Earthrise to Earth Day
Time for new beginnings, a modern environmental protection movement... some 16 months after Apollo 8's "Earthrise" photo was first seen on Earth, the first environmental 'teach-in' -- that we called "Earth Day" -- arose with a flourish, offering a whole earth message, new perspective, new ways of seeing. A new identification with the home planet began to be visualized and set in motion... a global environmental movement was being created. As planet citizens we had our work, serious work, in front of us and we got to work.
• https://www.greenpolicy360.net/w/Environmental_movement
- New Visions, Life-affirming
- December 1968, from the window of Apollo 8
Recent GreenPolicy360 Story Highlights[edit]
Green Stories of the Day - GreenPolicy360 Archive
GreenPolicy360 Archive Highlights 2024[edit]
GreenPolicy360 Archive Highlights 2023[edit]
GreenPolicy360 Archive Highlights 2022[edit]
GreenPolicy360 Archive Highlights 2021[edit]
GreenPolicy360 Archive Highlights 2020[edit]
GreenPolicy360 Archive Highlights 2019[edit]
GreenPolicy360 Archive Highlights 2018[edit]
GreenPolicy360 Archive Highlights 2017[edit]
GreenPolicy360 Archive Highlights 2016[edit]
GreenPolicy360 Archive Highlights 2015[edit]
GreenPolicy360 Archive Highlights 2014[edit]
GreenPolicy360 Archive Highlights 2013[edit]
~
- GP360 NewPages
- Planet Citizens
- Planet Citizens, Planet Scientists
- Additional Website Resources - Linked Data - Green Best Practices
- Agriculture
- Air Quality
- Air Pollution
- Antarctica
- Arctic
- Atmospheric Science
- Bioneers
- Biodiversity
- Biosphere
- China
- Citizen Science
- Civil Rights
- Clean Air
- Clean Water
- Climate Change
- Climate Policy
- Democracy
- Democratization of Space
- Digital Citizen
- Digital Rights
- Earth
- Eco-ethics
- Eco-nomics
- EOS eco Operating System
- Earth360
- EarthPOV
- Earth Observations
- Earth Science
- Earth System Science
- Ecofeminism
- Ecology Studies
- Economic Justice
- Election System Reform
- Endangered Species
- Energy
- Environmental Full-cost Accounting
- Environmental Laws
- Environmental Protection
- Environmental Security
- Environmental Security, National Security
- ESA
- European Union
- Externalities
- Food
- Forests
- Fossil Fuels
- Global Security
- Global Warming
- Greenland
- Green Best Practices
- Green Networking
- GreenPolicy360
- Green Politics
- Health
- Human Rights
- ISS
- Maps
- Money in Politics
- NASA
- Natural Resources
- Natural Rights
- Networking
- New Definitions of National Security
- New Space
- NOAA
- Nuclear Nonproliferation
- Nuclear Proliferation
- Nuclear Weapons
- Oceans
- Ocean Ecosystem
- Ocean Science
- Ocean Sustainability
- Overview Effect
- PlanetLabs
- Planet Citizen
- Planet Scientist
- Plastic Pollution
- Pollution
- Rainforest
- Renewable Energy
- Resilience
- Russian Federation
- Sea-Level Rise & Mitigation
- Seventh Generation Sustainability
- Social Justice
- Solar Energy
- Strategic Demands
- Sustainability
- Sustainability Policies
- ThinBlueLayer
- Threat Multiplier
- Transportation
- United Nations
- US
- Voting Rights
- Water Quality
- Whole Earth
- Women's Rights
- World Wide Web
- Youth






















































































