File:Hurricane Michael October 2018.jpg
Hurricane_Michael_October_2018.jpg (600 × 314 pixels, file size: 48 KB, MIME type: image/jpeg)
October 2018
Via USA Today
Did global warming 'supercharge' Hurricane Michael?
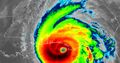
Hurricane Michael exploded in intensity this week, from a rather nondescript tropical depression Sunday with winds of 35 mph to a Category 4 monster Wednesday with 155 winds.
When it hit land, it became the most powerful hurricane on record to slam Florida's Panhandle and the third-strongest U.S. landfall of all time.
Along with other weather factors, Michael's rapid intensification was fueled in part by unusually warm sea water in the Gulf of Mexico. Warm water of at least 80 degrees fuels hurricanes, and the water in the eastern Gulf this week was as much as 4 to 5 degrees warmer than normal.
Although random weather patterns certainly played a role, the warm waters in the Gulf have a “human fingerprint” of climate change, according to National Oceanic and Atmospheric Administration climate and hurricane expert Jim Kossin.
Penn State University climatologist Michael Mann told Think Progress that "once again we see a storm undergoing extreme rapid intensification over unusually warm ocean waters. We saw this pattern last year with Harvey and earlier this year with Florence and now, with my namesake, Michael.”
Weather.us meteorologist Ryan Maue said "there's no doubt the ocean water encountered by Michael was quite warm compared to the last three decades, especially near the coast."
A 2015 climate change study on how ocean temperatures affect hurricane intensity in the North Atlantic found intensification increases by 16 percent for every 1.8 degree increase in average sea-surface temperatures...
Reference:
Chris Mooney / Washington Post
Climate scientists have begun to focus on hurricane rapid intensification as an increasingly prevalent feature in the world we’re entering.
In a recent study in the Journal of Climate, researchers found more rapid intensifications in a simulation of a human-warmed world, and also that this would prove a key pathway toward more intense hurricanes...
○
File history
Click on a date/time to view the file as it appeared at that time.
| Date/Time | Thumbnail | Dimensions | User | Comment | |
|---|---|---|---|---|---|
| current | 21:04, 12 October 2018 | 600 × 314 (48 KB) | Siterunner (talk | contribs) |
You cannot overwrite this file.
File usage
The following page uses this file:
